Trip to the Hogspital
Friday 16 May 2025
How do you take a Visayan Warty Pig to the vets for a check-up? Mammal keeper Laura Cook tells us about taking Tre, our 14-year-old male Visayan warty pig, for an exam.
Our team spend a lot of time with the animals at the zoo and find the best methods to train them to participate in health checks as this voluntary approach keeps the animals' calm. This is especially important when an animal needs a general anaesthetic, as the sedation drugs work more effectively when an animal is relaxed.
I am Tre’s trainer and had a few objectives I wanted to get him to meet ahead of his health check. This included no food when training, to keep Tre in a straight line against the fence in his enclosure, to introduce him to our vet nurse Theresa and for Tre to take an injection without reaction.

Similar to humans, mammals should be nil by mouth before a general anaesthetic. Most training we do with our animals will provide a reward for achieving the behaviour we have asked for; in Tre's case this would normally be pellet. Instead, I had to find a new primary reinforcer for Tre; and this ended up being body scratches.
To be able to administer an injection successfully Tre also needed to be up against the fence line, as this would give Theresa the best access for his injection. To help Tre understand what we wanted him to do, our lovely maintenance team installed some railway sleepers alongside the fence of the enclosure to create a gap big enough for Tre to walk through, which made his full body be up against the fence line.
Tre was used to having multiple people around when he was training but not with lots of veterinary gear. Theresa joined me regularly for Tre's training sessions with all the gadgets she would need when the big day was here. This allowed Tre time to get used to Theresa wearing gloves, getting out syringes and needles and unpacking what she needed. Theresa would also use a capped needle to put pressure where the injection would take place. After a few sessions we trialled an injection with saline solution to see the reaction from Tre. Tre didn't even flinch, and the team knew he was ready for a trip to the vets.
On the morning of his check up, we carried out the training session as normal but replaced the saline solution with sedation drugs. Tre was calm and relaxed during the session and then went inside so he could go to sleep peacefully in the nice warm building.
Weighing in at 55kg he wasn't too difficult to carry, and we made the quick journey to the vet centre.

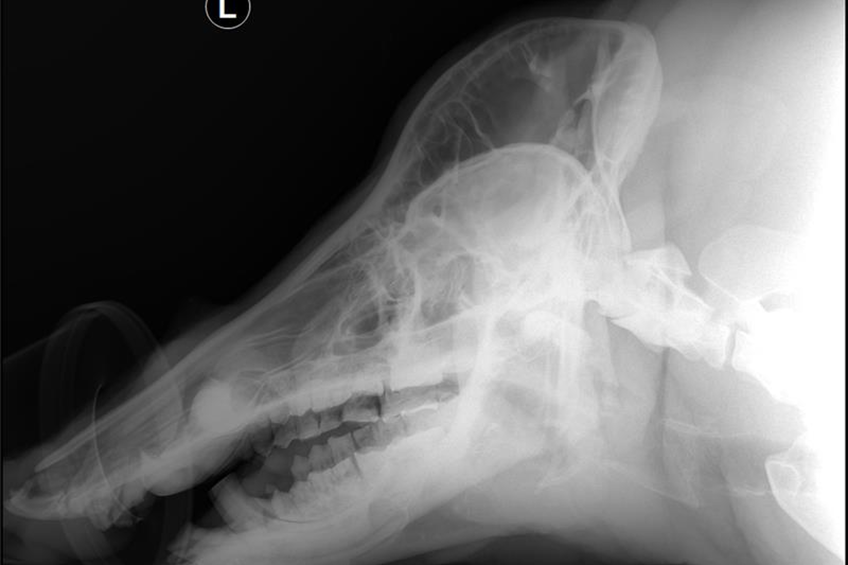
Once at the vets we carried out a full body MOT on Tre. This involved bloods, x-rays, an ear check, hoof check, coat check, as well as teeth check and polish.
After a successful trip to the vets, it was time to reverse the process and return Tre back to the pig house. The sedation reversal drug was administered, and we gave Tre plenty of time to wake up, eat some food and recover from a heavy sleep before returning him back to the three females.
The next day he was outside again enjoying the winter sun with his favourite female Penelope. All in all, it was a huge success.
